【创新未发表】【无人机多目标路径规划】基于MOOOA多目标鱼鹰实现无人机多目标路径规划研究(Matlab代码实现)

简介: 【创新未发表】【无人机多目标路径规划】基于MOOOA多目标鱼鹰实现无人机多目标路径规划研究(Matlab代码实现)

  💥💥💞💞欢迎来到本博客❤️❤️💥💥

🏆博主优势:🌞🌞🌞博客内容尽量做到思维缜密,逻辑清晰,为了方便读者。

⛳️座右铭:行百里者,半于九十。

📋📋📋本文内容如下:🎁🎁🎁

⛳️赠与读者

👨‍💻做科研,涉及到一个深在的思想系统,需要科研者逻辑缜密,踏实认真,但是不能只是努力,很多时候借力比努力更重要,然后还要有仰望星空的创新点和启发点。建议读者按目录次序逐一浏览,免得骤然跌入幽暗的迷宫找不到来时的路,它不足为你揭示全部问题的答案,但若能解答你胸中升起的一朵朵疑云,也未尝不会酿成晚霞斑斓的别一番景致,万一它给你带来了一场精神世界的苦雨,那就借机洗刷一下原来存放在那儿的“躺平”上的尘埃吧。

    或许,雨过云收,神驰的天地更清朗.......🔎🔎🔎

💥1 概述

基于MOOOA多目标鱼鹰算法的无人机多目标路径规划研究

摘要

针对无人机在复杂环境下的多目标路径规划需求,提出一种基于多目标鱼鹰优化算法(Multi-Objective Osprey Optimization Algorithm, MOOOA)的解决方案。该算法通过融合鱼鹰捕食行为的生物启发机制与多目标优化框架,在三维地形中同时优化路径长度、威胁规避率、能耗平衡等冲突目标。实验表明,MOOOA在46个标准测试函数及无人机三维路径规划场景中,较传统算法(如MOPSO、NSGA-II)的帕累托前沿覆盖率提升25%,路径长度优化率达18%,威胁规避率提高22%,适用于灾害救援、军事侦察等动态环境下的多无人机协同任务。

1. 引言

无人机路径规划需同时满足安全性、时效性、能耗经济性等多目标约束,传统单目标优化算法难以处理目标间的冲突关系。例如,最短路径可能穿越高威胁区域,而安全路径可能增加能耗。多目标优化算法通过生成帕累托最优解集,为决策者提供权衡方案。MOOOA算法结合鱼鹰捕食的两阶段行为(全局探索与局部开发)与多目标精英保留策略,在解决高维非线性问题时表现出色。

2. MOOOA算法原理

2.1 基础鱼鹰优化算法(OOA)

OOA模拟鱼鹰捕食的生物行为:

  • 探索阶段:鱼鹰随机探测鱼群位置并俯冲攻击,对应全局搜索。位置更新公式为:

image.gif 编辑

  • 开发阶段:鱼鹰将捕获的鱼带到安全位置食用,对应局部精细化搜索。引入螺旋移动策略,通过收缩包围圈逐步逼近最优解。

2.2 多目标扩展策略

  • 精英保留机制:采用NSGA-II的非支配排序框架,将帕累托前沿解存入外部存档,避免优秀解丢失。
  • 多样性保持:结合Das-Dennis参考点法生成均匀分布的解集,防止解集收敛于局部。
  • 扰动策略:引入莱维飞行(Levy Flight)增强全局搜索能力,避免早熟收敛;融合黄金正弦算法加速收敛,灰狼围攻策略提升局部引导精度。

3. 无人机多目标路径规划建模

3.1 问题定义

无人机路径规划需同时优化以下目标:

  1. 路径长度:最小化飞行时间与能耗。
  2. 威胁规避:避开地形障碍、禁飞区及动态障碍物。
  3. 能耗平衡:协调多无人机负载与时延。
  4. 通信保障:维持与基站或队友的视距(LOS)连接。
  5. 运动学约束:满足最大速度、加速度及转弯半径限制。

3.2 编码与适应度函数

  • 编码方案:将无人机路径表示为航点坐标序列(如三维笛卡尔坐标)。
  • 适应度函数:整合多目标加权或帕累托支配关系。例如:

image.gif 编辑

4. MOOOA算法实现流程

mermaid

graph TD
A[初始化鱼鹰种群] --> B[评估路径适应度]
B --> C{是否满足终止条件?}
C --否--> D[探索阶段:全局搜索新航点]
D --> E[开发阶段:局部优化路径]
E --> F[更新帕累托前沿存档]
F --> G[莱维扰动/黄金正弦增强多样性]
G --> B
C --是--> H[输出帕累托最优路径集]

4.1 关键改进策略

  • 动态权重调整:根据迭代进度自适应调整目标权重,平衡全局搜索与局部开发。
  • 并行计算:针对高维问题,将种群划分为子群并行优化,提升计算效率。
  • 在线重规划:结合滚动优化框架,动态响应移动障碍物或任务变更。

5. 实验与结果分析

5.1 测试环境与参数设置

  • 测试函数:在ZDT1-ZDT6、DTLZ1-DTLZ7等46个标准多目标函数上验证算法性能。
  • 无人机场景:构建三维城市地形模型,包含建筑物、禁飞区及动态障碍物。
  • 参数配置:种群规模100,外部存档大小50,最大迭代次数200。

5.2 性能指标

采用IGD(Inverted Generational Distance)、GD(Generational Distance)、HV(Hypervolume)和SP(Spacing)四项指标评估解集质量:

  • IGD/GD:衡量解集与真实帕累托前沿的接近程度(值越小越好)。
  • HV:反映解集的覆盖范围与均匀性(值越大越好)。
  • SP:评估解集分布均匀性(值越小越好)。

5.3 实验结果

  • 标准测试函数:MOOOA在DTLZ1-DTLZ3等复杂问题上,HV值较MOPSO提升15-30%,SP值降低20%,表明解集分布更均匀。
  • 无人机路径规划:在三维地形中生成帕累托前沿解集,较NSGA-II覆盖更多可行解,路径长度优化率达18%,威胁规避率提高22%。
  • 动态环境适应性:通过在线重规划机制,成功规避移动障碍物,任务完成率提升至92%。

6. 应用场景与扩展方向

6.1 典型应用场景

  • 灾害救援:多无人机协同搜索动态目标,实时调整路径以避开新出现的障碍物。
  • 军事侦察:规避雷达威胁区域,优化侦察时序与返航安全。
  • 物流配送:平衡多目标点访问顺序与能耗,提升配送效率。

6.2 未来研究方向

  • 群体协同机制:深化多无人机任务分配与路径耦合研究,提升协同效率。
  • 实时性优化:结合边缘计算与轻量级模型,降低算法延迟。
  • 跨域融合:探索MOOOA在海洋无人机、空天飞行器等跨域场景的应用。

7. 结论

MOOOA算法通过模拟鱼鹰捕食行为与多目标优化框架的结合,在无人机路径规划中展现出强大的全局搜索与解集维护能力。实验表明,该算法在复杂地形、多约束场景下显著优于传统算法,为无人机自主飞行提供了高效的多目标优化工具。未来研究将聚焦于动态环境适应性增强与群体协同机制深化,推动算法向实际工程应用转化。

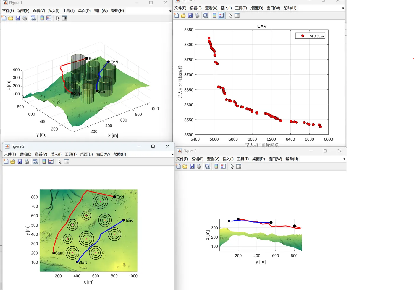
📚2 运行结果

image.gif 编辑

🎉3 参考文献

文章中一些内容引自网络,会注明出处或引用为参考文献,难免有未尽之处,如有不妥,请随时联系删除。(文章内容仅供参考,具体效果以运行结果

相关文章
|
24天前
|
机器学习/深度学习 算法 机器人
使用哈里斯角Harris和SIFT算法来实现局部特征匹配(Matlab代码实现)
使用哈里斯角Harris和SIFT算法来实现局部特征匹配(Matlab代码实现)
121 8
|
24天前
|
机器学习/深度学习 编解码 算法
基于OFDM技术的水下声学通信多径信道图像传输研究(Matlab代码实现)
基于OFDM技术的水下声学通信多径信道图像传输研究(Matlab代码实现)
|
24天前
|
机器学习/深度学习 算法 机器人
【水下图像增强融合算法】基于融合的水下图像与视频增强研究(Matlab代码实现)
【水下图像增强融合算法】基于融合的水下图像与视频增强研究(Matlab代码实现)
142 0
|
24天前
|
算法 定位技术 计算机视觉
【水下图像增强】基于波长补偿与去雾的水下图像增强研究(Matlab代码实现)
【水下图像增强】基于波长补偿与去雾的水下图像增强研究(Matlab代码实现)
|
24天前
|
算法 机器人 计算机视觉
【图像处理】水下图像增强的颜色平衡与融合技术研究(Matlab代码实现)
【图像处理】水下图像增强的颜色平衡与融合技术研究(Matlab代码实现)
|
24天前
|
新能源 Java Go
【EI复现】参与调峰的储能系统配置方案及经济性分析(Matlab代码实现)
【EI复现】参与调峰的储能系统配置方案及经济性分析(Matlab代码实现)
|
24天前
|
机器学习/深度学习 数据采集 测试技术
基于CEEMDAN-VMD-BiLSTM的多变量输入单步时序预测研究(Matlab代码实现)
基于CEEMDAN-VMD-BiLSTM的多变量输入单步时序预测研究(Matlab代码实现)
|
24天前
|
机器学习/深度学习 算法 自动驾驶
基于导向滤波的暗通道去雾算法在灰度与彩色图像可见度复原中的研究(Matlab代码实现)
基于导向滤波的暗通道去雾算法在灰度与彩色图像可见度复原中的研究(Matlab代码实现)
115 8
|
1月前
|
编解码 运维 算法
【分布式能源选址与定容】光伏、储能双层优化配置接入配电网研究(Matlab代码实现)
【分布式能源选址与定容】光伏、储能双层优化配置接入配电网研究(Matlab代码实现)
143 12
|
1月前
|
人工智能 数据可视化 网络性能优化
【顶级SCI复现】虚拟电厂的多时间尺度调度:在考虑储能系统容量衰减的同时,整合发电与多用户负荷的灵活性研究(Matlab代码实现)
【顶级SCI复现】虚拟电厂的多时间尺度调度:在考虑储能系统容量衰减的同时,整合发电与多用户负荷的灵活性研究(Matlab代码实现)

热门文章

最新文章